Vol.16
土石流解析・
VRシミュレーション
体験セミナー |
| IT活用による建設産業の成長戦略を追求する「建設ITジャーナリスト」家入 龍太 |
|
| 建設ITジャーナリスト家入龍太氏が参加するFORUM8体験セミナー、有償セミナーを体験レポート |
|
|
建設ITジャーナリスト家入龍太氏が参加するFORUM8体験セミナーのレポート。新製品をはじめ、各種UC-1技術セミナーについてご紹介します。製品概要・特長、体験内容、事例・活用例、イエイリコメントと提案、製品の今後の展望などをお届けする予定です。
【プロフィール】
BIMや3次元CAD、情報化施工などの導入により、生産性向上、地球環境保全、国際化といった建設業が抱える経営課題を解決するための情報を「一歩先の視点」で発信し続ける建設ITジャーナリスト。日経BP社の建設サイト「ケンプラッツ」で「イエイリ建設IT戦略」を連載中。「年中無休・24時間受付」をモットーに建設・IT・経営に関する記事の執筆や講演、コンサルティングなどを行っている。
公式ブログはhttp://ieiri-lab.jp |
|
 |
|
|
●はじめに
建設ITジャーナリストの家入龍太です。今回、参加した「土石流解析・VRシミュレーション体験セミナー」は、土石流解析という極めてエンジニアリング色の強い解析機能と、バーチャルリアリティー(VR)というビジュアル色の強いプレゼンテーション機能を持つソフトがコラボレーションした、ユニークなシステムを体験するものでした。
土石流とは、渓谷の山肌や川底にある石や土砂が長雨や集中豪雨、雪解け水などによって一気に下流へと流される現象です。特に火山灰が降り積もった場所では、少しの雨でも土石流が発生する危険があります。土石流には石やれきが高濃度に含まれており、時速20km〜40km、時には50kmにもなり、すさまじい破壊力を持っています。
平成15年現在で、日本国内には18万3863の渓流が「土石流危険渓流」に指定されており、うち、人家5戸以上、病院や福祉施設、駅、官公庁などの重要施設がある「土石流危険渓流(I)」が8万518渓流と約44%を占めます。土石流危険渓流のうち、8割が未対策となっており、土石流の潜在的な危険がある場所は、日本国中に存在しています。
例えば2012年7月11日に、梅雨前線の豪雨によって九州北部で発生した土石流では、死者22人、行方不明1人、負傷者8人の人的被害と、全壊80戸、半壊62戸、一部損壊110戸という建物被害を出しました。このほか1991年の雲仙普賢岳の噴火とその後の雨による土石流では死者1人、地域内の家屋70%が埋没するという被害を出しました。
VRソフトの「UC-win/Road」と「土石流シミュレーションプラグイン・オプション」をコラボさせることにより、土石流解析をスピーディーに行うとともに、解析結果を専門家や技術者はもちろん、一般市民にも分かりやすくプレゼンテーションできます。
 |
 |
| ▲「UC-win/Road 土石流シミュレーションプラグイン」による解析結果の可視化 |
●製品概要・特長
フォーラムエイトは、2012年12月に「UC-win/Road 土石流シミュレーションプラグイン・オプション」を発売しました。特徴は入出力部にUC-win/Roadを活用することで、解析用データの作成の手間と時間を大幅に削減するとともに、解析結果をリアルにプレゼンテーションできるようにしたことです。
例えば、入力データを作成する時に手間のかかる地形の入力には、UC-win/Roadの地形データを利用し、簡単なクリック操作を行うだけで解析領域の設定や入力データの作成を自動化しました。
土石流シミュレータによって解析した結果は、UC-win/Roadで可視化することにより、土石流の流れや影響範囲を誰にでも分かりやすく、印象的なプレゼンテーションを行えます。
土石流を解析するソルバーには、京都大学大学院農学研究科で開発された「土石流シミュレータ(Kanako)」を使っています。
「UC-win/Road 土石流シミュレーションプラグイン・オプション」は、土石流解析を行う「UC-1
土石流シミュレーション」と、入力データの作成と解析結果の可視化を行うために、UC-win/Roadとのデータ連携を行う「UC-win/Road
土石流プラグイン」から構成されています。
●体験内容
2月26日、フォーラムエイト東京本社で「土石流解析・VRシミュレーション体験セミナー」が開催され、他のセミナー会場にもネットで中継されました。
この日、講師を務めたのは、フォーラムエイトUC-1開発第1グループの仁田脇貴浩さんです。 午後1時30分から午後4時30分まで行われたセミナーではまず、土石流の基本の説明から始まりました。土石流が起こる原因や破壊力、日本には土石流の危険渓流が多くあること、代表的な土石流被害の例などです。
 |
| ▲「UC-win/Road 土石流シミュレーションプラグイン」の解析手順 |
続いて土石流解析の流れです。まず、「UC-win/Road 土石流シミュレーションプラグイン」のエクスポート機能を利用して、UC-win/Roadに内蔵されている地形データから土石流の計算に使う入力データを3つのファイルに書き出します。
これを「UC-1 土石流シミュレーション」が読み込み、解析条件を設定した後に「Kaneko」というソルバーで土石流の動きを計算。解析結果をファイルに書き出します。
この結果ファイルを再び「UC-win/Road 土石流シミュレーションプラグイン」のインポート機能を利用して、UCwin/Roadに読み込み、VRシミュレーションとしてプレゼンテーションする、という流れです。
製品の説明と操作実習もこの流れに沿って行われました。
土石流の解析には、河川の勾配やルートのほか、下流の扇状地の地形データ、そして解析する範囲を数値で入力するのは大変ですが、プラグインを使うことであっという間に完了します。
河川のルートはUC-win/Road上で土石流渓谷の川に沿ってクリックしていくだけです。するとUC-win/Roadに内蔵されている地形データから河川の縦断図データを1次元情報として自動作成します。
 |
 |
▲UC-win/Road上でクリックすることにより
渓流と解析領域を指定する |
▲UC-win/Roadの地形データから
土石流解析用の河川縦断図を自動作成 |
土石流が流れ込む扇状地は、クリックで四角形を描き、解析範囲を指定します。扇状地は2次元情報として扱い、200×200メッシュまで分割でき、メッシュごとに地表の高さをUC-win/Roadから読み込みます。これにより、地表の高低差を考慮した土石流の流れを解析できます。
土石流の流れを解析する「UC-1 土石流シミュレーション」のソルバー「Kanako」は、河川の急こう配領域を1次元、扇状地などの緩勾配領域を2次元モデルで計算し、両領域の境界部で1次元と2次元の解析結果をお互いに受け渡すことで統合的に計算できます。さらに土石流対策として渓流に設けられる堰堤(砂防ダム)も、水を通さない「不透過型」と、水だけは通す「スリット型」を設置し、その影響を考慮した解析が行えます。
Kanokoは京都大学大学院農学研究科で開発されたもので、水と土砂の容積保存式や土砂の体積保存式、X方向の土砂の運動方程式、Y方向の土石流の運動方程式、そして河床変動の式という、5つの偏微分方程式を元に土石流の動きをシミュレーションします。
 |
| ▲Kanakoによる解析機能 |
「UC-1 土石流シミュレーション」で解析した土石流の動きは、土石流発生からの時刻に応じて、河川の各部分での水面高や河床形状、流動深・堆積(たいせき)層厚を画面で確認することができます。各観測点における土砂や土石流全体の流量もハイドログラフとして表示されます。
堰堤がある部分では、土石流が堰堤に満杯になり、越流するまでの間、土石流の流れが一時的にストップする様子も分かります。また、扇状地を表すメッシュ上に土石流が広がっていく様子も表示できます。
ここまではエンジニアリングとしての解析結果ですが、その時、渓流や町がどのような被害を受けるのかは直感的には分かりません。そこで「UC-1
土石流シミュレーション」のインポート機能を使って、解析結果をUC-win/Roadに読み込み、リアルに表示します。
尾根にはさまれた渓谷を土石流が駆け下り、扇状地を飲み込んでいく様子がリアルに再現されます。よく見ると土石流が工場のある場所を避けて流れていくのが分かります。そこには工場があり、敷地の標高が周囲より高くなっているため、土石流が流れ込まなかったことが視覚的に分かります。そして土石流が扇状地を横切る道路のところでストップする様子も分かります。これは道路が盛り土によって高くなっている効果が表れたものです。
操作実習では、渓流に堰堤がある場合とない場合の2ケースを計算しました。その結果は歴然としており、堰堤なしの場合は土石流が扇状地に大きく広がったのに対し、堰堤ありの場合は3分の1程度に広がりが食い止められることが分かりました。
 |
 |
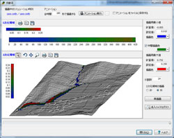
▲「UC-1 土石流シミュレーション」で見た解析結果(左)。
その結果をUC-win/Roadにインポートしたもの(右)は、
土石流の流れと地形や街並みとの関係が分かりやすい |
 |
 |
| ▲渓流に堰堤がない場合(左)とある場合(右)の違い。堰堤の効果は大きいことが実感できる |
●イエイリコメントと提案
土石流解析というとこれまでは防災の専門家が行う専門的なもので、計算にも手間ひまかがかかり、一般の土木技術者にはなじみが薄いものでした。それがUC-win/Roadのプラグインになったことで、一般の技術者も手軽に土石流解析を行えるようになったことは画期的なことでしょう。
さらに計算結果もUC-win/Road上でクルマや人が行き交う町の空間上にリアルに表現できるようになりました。日常生活ではめったに遭遇することのない土石流がどのような場所に被害を及ぼすのかを、日常生活でなじみ深い街路やクルマの運転席から見た動画で見られると、危機意識を地域全体で共有したり、いざという時の避難行動をスムーズにしたりといった効果が高まることは確実です。
●製品の今後の展望
UC-win/Road の地形データを土石流解析に利用できるようになったことは、入力データの作成効率を非常に高めました。その一方で、一般に公表されている地形データは実測値との差があることもあります。また、渓谷のルートをクリックして入力する時に、クリック位置の誤差もあるでしょう。これらの原因によって、土石流解析の入力データとなる河道の縦断図データにも誤差が大きくなる可能性もあります。
セミナーの最後に、テレビ会議システムによって他の会場の受講者から、地形の入力データに地表面を三角形の集合で表現する「TIN
データ」は使えないのか、という質問がありました。この製品は、「UC-win/Road」「土石流シミュレーションプラグイン・オプション」「UC-1
土石流シミュレーション」の3つプログラムによって構成されており、まず、UC-win/Road
の地形データを「土石流シミュレーションプラグイン・オプション」で解析用データとして生成し、「UC-1
土石流シミュレーション」(Kanako) で解析を実行、最終的に「土石流シミュレーションプラグイン・オプション」による解析結果の可視化を行うものです。「UC-1
土石流シミュレーション」では、計算にあたって地形以外の解析条件の変更が可能ですが、地形データはUC-win/Road
によるものを使用することが前提となっています。また、UCwin/Road では、TIN
やShape ファイルをはじめとしたさまざまな地形データが利用できます。
このほか、関連ソリューションで「UC-win/Road 津波解析プラグイン・オプション」の紹介もありました。土石流や津波のように日ごろ、体験する機会がない自然災害のほか、事故やテロによる爆発や有害物質の拡散、パンデミックなどのシミュレーションなどの解析ソフトをUC-win/Road
と連携させることで、動きのあるリアルな4D ハザードマップを作れます。
これは日本の国土強靱(きょうじん)化にも大いに役立つのではないでしょうか。 |
|
| (Up&Coming '13 春の号掲載) |
 |
|







>> 製品総合カタログ

>> プレミアム会員サービス
>> ファイナンシャルサポート
|